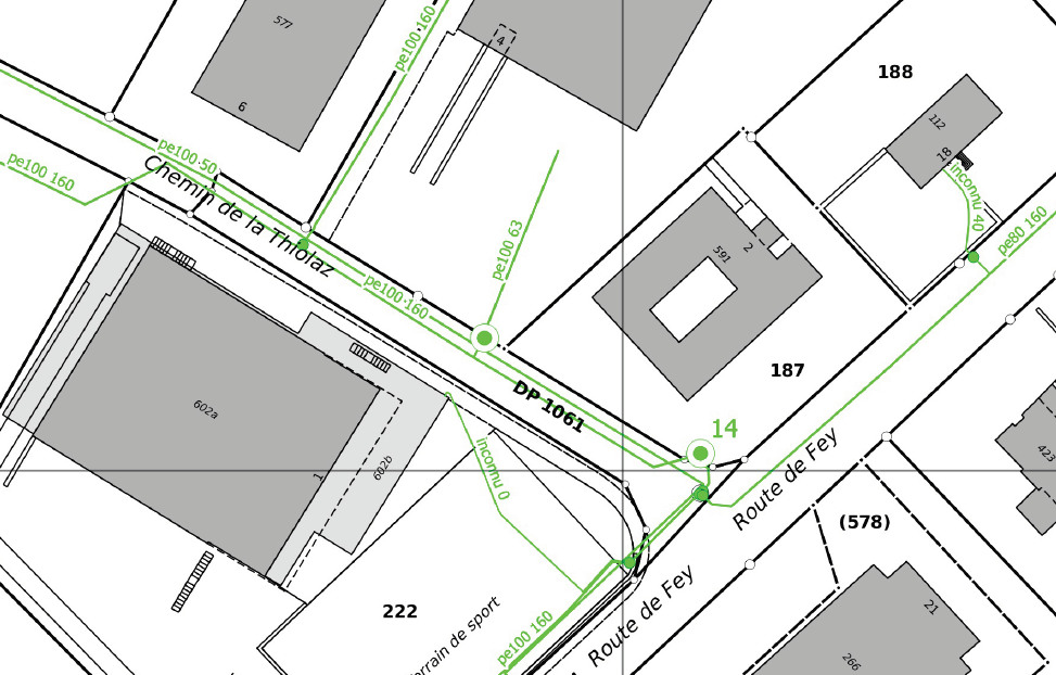
Réseau d'eau potable
Plan de réseau de distribution d'eau potable contenant les canalisations et les organes principaux (vannes, manchons, branchements, bornes hydrantes, etc.)
Simple
Identification info
- Date (Creation)
- 2014-01-01
- Date (Publication)
- 2014-01-01
- Status
- Completed
Point of contact
Responsible party
- Individual name
-
Hervé Vallotton
- Organisation name
-
Jaquier-Pointet Ingénieurs Géomètres Officiels
- Voice
-
+41244246070
Address
- City
-
Yverdon-les-Bains
- Postal code
-
1401
- Country
-
CH
- Electronic mail address
- Streetname
-
Rue des Pêcheurs 7
- Address line
-
Case postale 795
- Role
- Point of contact
- First Name
-
Hervé
- Last Name
-
Vallotton
- Maintenance and update frequency
- Continual
- Use limitation
-
Les données diffusées peuvent ne pas être exactes ou exhaustives, et n’engagent pas la responsabilité de la commune de Mathod.
L'acquéreur s’engage à ne pas commercialiser les données. La rediffusion des données est interdite (y compris sur internet).
- Use constraints
- Other restrictions
- Other constraints
-
Avant tous travaux, sur ou à proximité du réseau d'eau potable, la position et la profondeur exactes des conduites doivent être déterminées par sondage(s). En outre, toutes les canalisations souterraines en service ne figurent pas sur ces plans. Consulter également les plans des réseaux de tous les services intéressés.
- Denominator
- 500
- Language
- Français
- Topic category
-
- Q2 Water and Waste Systems
Extent
- Geographic identifier
- SWITZERLAND95
- Distribution format
-
-
DWG
()
-
DXF
()
-
PDF
()
-
DWG
()
Distributor
Distributor contact
Responsible party
- Individual name
-
Hervé Vallotton
- Organisation name
-
Jaquier-Pointet Ingénieurs Géomètres Officiels
- Voice
-
+41244246070
Address
- City
-
Yverdon-les-Bains
- Postal code
-
1401
- Country
-
CH
- Electronic mail address
- Streetname
-
Rue des Pêcheurs 7
- Address line
-
Case postale 795
- Role
- Point of contact
- First Name
-
Hervé
- Last Name
-
Vallotton
- Fees
-
Ressource gratuite
- OnLine resource
-
Fiche détaillée
(
WWW:LINK
)
Retrouvez toutes les informations sur viageo.ch
- OnLine resource
-
Commande en ligne
(
WWW:DOWNLOAD-APP
)
Commande en ligne possible sur viageo.ch
- OnLine resource
-
Guichet en ligne
(
CHTOPO:specialised-geoportal
)
Consultation possible sur le guichet en ligne
- Statement
-
Mode d'acquisition: Digitalisation/reconstruction des plans du cadastre d'eau et relevé
Echelle entre 1:250 et 1:5000.
- Reference system identifier
- MN95 - système suisse (CH1903+)
Metadata
- Metadata language
-
fre
- Character set
- UTF8
- Hierarchy level
- Dataset
- Hierarchy level name
-
Géodonnée
- Date stamp
- 2025-10-31
- Metadata standard name
-
GM03 2+
Metadata author
Responsible party
- Individual name
-
Hervé Vallotton
- Organisation name
-
Jaquier-Pointet Ingénieurs Géomètres Officiels
- Voice
-
+41244246070
Address
- City
-
Yverdon-les-Bains
- Postal code
-
1401
- Country
-
CH
- Electronic mail address
- Streetname
-
Rue des Pêcheurs 7
- Address line
-
Case postale 795
- Role
- Point of contact
- First Name
-
Hervé
- Last Name
-
Vallotton
- Dataset URI
geocat.ch