Réseau d'eau potable
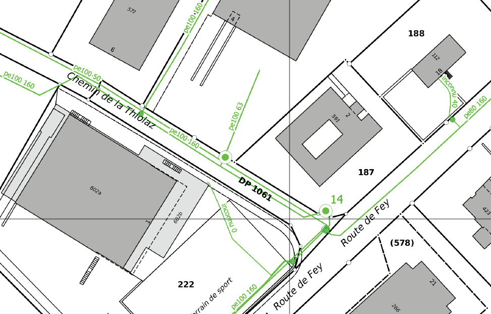
Plan de réseau de distribution d'eau potable. Le plan contient les conduites avec indication de diamètre et de matériau, les vannes et le hydrantes avec leurs numéros le cas échéant.
Simple
Identification info
- Date (Creation)
- 2017-01-01
- Status
- Completed
Point of contact
Responsible party
- Individual name
-
Hervé Vallotton
- Organisation name
-
Jaquier-Pointet Ingénieurs Géomètres Officiels
- Voice
-
+41244246070
Address
- City
-
Yverdon-les-Bains
- Postal code
-
1401
- Country
-
CH
- Electronic mail address
- Streetname
-
Rue des Pêcheurs 7
- Address line
-
Case postale 795
- Role
- Point of contact
- First Name
-
Hervé
- Last Name
-
Vallotton
- Maintenance and update frequency
- Continual
- Maintenance note
-
La mise à jour est faite en fonction de l'avancement des chantiers communaux et privés.
- Use limitation
-
Les géodonnées livrées sont destinées aux propres besoins de l'acquéreur. La rediffusion à des tiers ou l'utilisation commerciale sont strictement interdites.
- Use constraints
- Other restrictions
- Other constraints
-
La diffusion se fait exclusivement via le géoportail de l'ASIT VD. La Commune d'Ursins n'assume aucune responsabilité quant à la présence et la précision de la position des objets.
- Denominator
- 500
- Language
- Français
- Topic category
-
- Q2 Water and Waste Systems
Extent
- Geographic identifier
- SWITZERLAND95
- Basic geodata identifier
-
75-VD>A.1
- Basic geodata identifier type
- Cantonal
- Distribution format
-
-
DWG
()
-
DXF
()
-
PDF
()
-
DWG
()
Distributor
Distributor contact
Responsible party
- Individual name
-
Hervé Vallotton
- Organisation name
-
Jaquier-Pointet Ingénieurs Géomètres Officiels
- Voice
-
+41244246070
Address
- City
-
Yverdon-les-Bains
- Postal code
-
1401
- Country
-
CH
- Electronic mail address
- Streetname
-
Rue des Pêcheurs 7
- Address line
-
Case postale 795
- Role
- Point of contact
- First Name
-
Hervé
- Last Name
-
Vallotton
- Fees
-
Ressource gratuite
- OnLine resource
-
Fiche détaillée
(
WWW:LINK
)
Retrouvez toutes les informations sur viageo.ch
- OnLine resource
-
Commande en ligne
(
WWW:DOWNLOAD-APP
)
Commande en ligne possible sur viageo.ch
- OnLine resource
-
Guichet en ligne
(
CHTOPO:specialised-geoportal
)
Consultation possible sur le guichet en ligne
- Statement
-
Relevés pour le centre du village, digitalisé sur la base des plans originaux au 1:1'000 pour l'extérieur du village. Puis mise à jour par relevés.
- Reference system identifier
- MN95 - système suisse (CH1903+)
Metadata
- Metadata language
-
fre
- Character set
- UTF8
- Hierarchy level
- Dataset
- Hierarchy level name
-
Géodonnée
- Date stamp
- 2025-10-31
- Metadata standard name
-
GM03 2+
Metadata author
Responsible party
- Individual name
-
Hervé Vallotton
- Organisation name
-
Jaquier-Pointet Ingénieurs Géomètres Officiels
- Voice
-
+41244246070
Address
- City
-
Yverdon-les-Bains
- Postal code
-
1401
- Country
-
CH
- Electronic mail address
- Streetname
-
Rue des Pêcheurs 7
- Address line
-
Case postale 795
- Role
- Point of contact
- First Name
-
Hervé
- Last Name
-
Vallotton
- Dataset URI
geocat.ch